There are multiple listings for this address:
$50,000
0 Roundtree Lane 19028065
Squaw Valley, CA, 93675
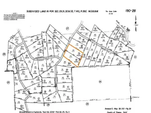
5-acre parcel in Squaw Valley featuring road frontage, gently rolling terrain with open clearings, and easements for electricity and telephone. Ideal for a custom home or private getaway with panoramic mountain and valley views. Peaceful setting off Round Tree Ln with easy access. Use Google Earth to explore the beautiful surrounding landscape and topography. Close to Kings Canyon/Sequoia National Parks, outdoor recreation, and just 45 minutes to Fresno. Also offered with adjacent 4.92-acre parcel (APN 190-280-75) for a total of 9.92 acres. Buyer to verify zoning, utilities, and access.
Property Details
Price:
$50,000
MLS #:
SB25128755
Status:
Active
Baths:
0
Type:
Land
Neighborhood:
699notdefined
Listed Date:
Jun 3, 2025
Lot Size:
432,115 sqft / 9.92 acres (approx)
Schools
Interior
Exterior
Community Features
Horse Trails, Rural
Financial
Mortgage Calculator
Map
Current real estate data for Land in Squaw Valley as of Oct 08, 2025
19
Land Listed
155
Avg DOM
$109,070
Avg List Price
Community
- Address0 Roundtree Lane 19028065 Squaw Valley CA
- Neighborhood699 – Not Defined
- CitySquaw Valley
- CountyFresno
- Zip Code93675
Similar Listings Nearby
Property Summary
- 0 Roundtree Lane 19028065 Squaw Valley CA is a Land for sale in Squaw Valley, CA, 93675. It is listed for $50,000 and features 10 acres. To schedule a showing of MLS#sb25128755 at 0 Roundtree Lane 19028065 in Squaw Valley, CA, contact your Valley Harvest Properties agent at 5597797132.

0 Roundtree Lane 19028065
Squaw Valley, CA
$25,000
0 Roundtree Lane 19028065
Squaw Valley, CA, 93675
5-acre parcel in Squaw Valley featuring road frontage, gently rolling terrain with open clearings, and easements for electricity and telephone. Ideal for a custom home or private getaway with panoramic mountain and valley views. Peaceful setting off Round Tree Ln with easy access. Use Google Earth to explore the beautiful surrounding landscape and topography. Close to Kings Canyon/Sequoia National Parks, outdoor recreation, and just 45 minutes to Fresno. Also offered with adjacent 4.92-acre parcel (APN 190-280-75) for a total of 9.92 acres. Buyer to verify zoning, utilities, and access.
Property Details
Price:
$25,000
MLS #:
SB25129852
Status:
Active
Baths:
0
Type:
Land
Neighborhood:
699notdefined
Listed Date:
Jun 3, 2025
Lot Size:
217,800 sqft / 5.00 acres (approx)
Schools
Interior
Exterior
Community Features
Horse Trails, Rural
Financial
Mortgage Calculator
Map
Current real estate data for Land in Squaw Valley as of Oct 08, 2025
19
Land Listed
155
Avg DOM
$109,070
Avg List Price
Community
- Address0 Roundtree Lane 19028065 Squaw Valley CA
- Neighborhood699 – Not Defined
- CitySquaw Valley
- CountyFresno
- Zip Code93675
Similar Listings Nearby
Property Summary
- 0 Roundtree Lane 19028065 Squaw Valley CA is a Land for sale in Squaw Valley, CA, 93675. It is listed for $25,000 and features 5 acres. To schedule a showing of MLS#sb25129852 at 0 Roundtree Lane 19028065 in Squaw Valley, CA, contact your Valley Harvest Properties agent at 5597797132.